Skip To Content

XOXO Rt 169

Woodstock, CT 06281
  • $49,900
  • STATUS: Closed
  • ON SITE: 662 Days
  • MLS #: 170623492
Sold - 06/12/2025
$49,900
SOLD - 06/12/2025
  • 0
    BEDS
  • 3.6
    ACRES
  • 0
    BATHS
  • 0
    1/2 BATHS
Neighborhood:
Type:
Vacant Land / Lots
County:
Area:

School Information

Elementary School:
High School:

Description

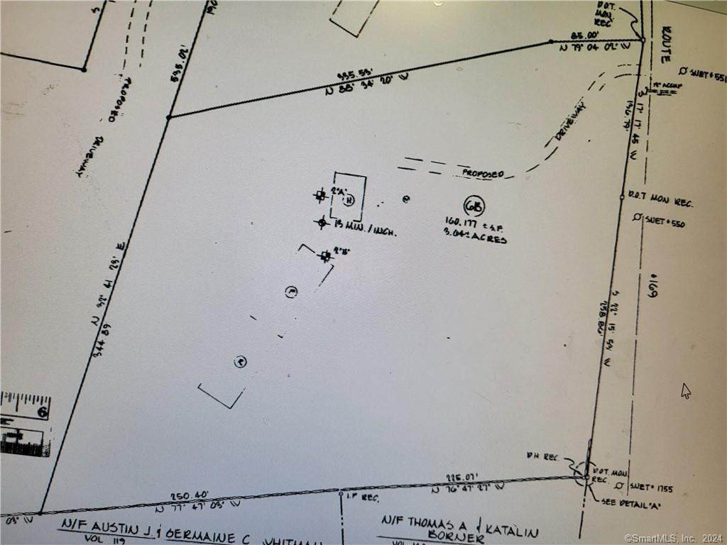
Approved oversized 3.6 acre subdivision lot features privacy & room to roam! For space & protection, this land boasts 396' of road frontage (36' longer than the length of a football field including both end zones)! Horses & ATVs OK. Road frontage boundaries are flagged with ribbons, bordering homes 1310 RT 169, the neighbor to the south, at the corner of stonewall, which further runs west as this parcel's entire southern boundary, & house 1336 RT 169 to the north at the flagged/staked concrete state highway marker. Formerly approved driveway entrance is near the north concrete marker, goes down merging with an old cart path. Cart path trudges through a seasonal drainage spot (wet this time of year) out to the level proposed house site area where testing was done for a septic system. Survey is map 1009 in the town clerk's office, 80" and 94" deep hole test results for pits 2A & 2B are on said map and in these photos (decent soils!). Google says 33 minutes to 1 College St, Worcester,

Monthly Payment Calculator



The data relating to real estate for sale on this website appears in part through the SMARTMLS Internet Data Exchange program, a voluntary cooperative exchange of property listing data between licensed real estate brokerage firms, and is provided by SMARTMLS through a licensing agreement. Listing information is from various brokers who participate in the SMARTMLS IDX program and not all listings may be visible on the site. The property information being provided on or through the website is for the personal, non-commercial use of consumers and such information may not be used for any purpose other than to identify prospective properties consumers may be interested in purchasing. Some properties which appear for sale on the website may no longer be available because they are for instance, under contract, sold or are no longer being offered for sale. Property information displayed is deemed reliable but is not guaranteed. Copyright 2025 SmartMLS, Inc. Data last updated: 2025-12-04T17:10:08.437.
www.legendsofremax.com/homes/147511767
Print Image

XOXO Rt 169 Woodstock, CT 06281

  • Price: $49,900
  • Status: Closed
  • On Site: 662 Days
  • Updated: 63 min ago
  • MLS #: 170623492
0
Beds
0
Baths
0
½ Baths
3.6
Acres
Neighborhood:
North Woodstock
County:
Windham
Area:
Woodstock
Elementary School:
per board of ed
High School:
Woodstock Academy
Property Description
Approved oversized 3.6 acre subdivision lot features privacy & room to roam! For space & protection, this land boasts 396' of road frontage (36' longer than the length of a football field including both end zones)! Horses & ATVs OK. Road frontage boundaries are flagged with ribbons, bordering homes 1310 RT 169, the neighbor to the south, at the corner of stonewall, which further runs west as this parcel's entire southern boundary, & house 1336 RT 169 to the north at the flagged/staked concrete state highway marker. Formerly approved driveway entrance is near the north concrete marker, goes down merging with an old cart path. Cart path trudges through a seasonal drainage spot (wet this time of year) out to the level proposed house site area where testing was done for a septic system. Survey is map 1009 in the town clerk's office, 80" and 94" deep hole test results for pits 2A & 2B are on said map and in these photos (decent soils!). Google says 33 minutes to 1 College St, Worcester,
Exterior Features

Direct Waterfront YN No Lot Description Treed Lot Improvements Approved Subdivision Nearby Amenities Golf CourseLakeLibraryMedical FacilitiesParkPrivate School(s)Stables/Riding Road Frontage Approximate 396 Road Frontage Description Paved Road Waterfront Description Not Applicable

Property Features

Agent Owner YN No Association Amenities None Bank Owned Property No Encumbrances Restrictions Square Footage Minimums Financing Used Conventional Fixed Flood Zone YN No Home Owners Assocation No Intermediate School Per Board of Ed Location Rural New Construction Type No/Resale Potential Short Sale No Property Info Horse Property Property Sub Type Residential Land Septic Approval YN No Septic Plan Available YN No Sewage System Septic Required Subdividable YN No Tax Year July 2023-June 2024 Under Agreement Yn No Utilities Available Electric AvailablePhone AvailableCable Available Water Source Well Required Zoning Res

Listing information © 2025 Smart MLS
Listing provided courtesy of Dennis Duga of Northeast Realty: (860) 684-4455.


The data relating to real estate for sale on this website appears in part through the SMARTMLS Internet Data Exchange program, a voluntary cooperative exchange of property listing data between licensed real estate brokerage firms, and is provided by SMARTMLS through a licensing agreement. Listing information is from various brokers who participate in the SMARTMLS IDX program and not all listings may be visible on the site. The property information being provided on or through the website is for the personal, non-commercial use of consumers and such information may not be used for any purpose other than to identify prospective properties consumers may be interested in purchasing. Some properties which appear for sale on the website may no longer be available because they are for instance, under contract, sold or are no longer being offered for sale. Property information displayed is deemed reliable but is not guaranteed. Copyright 2025 SmartMLS, Inc. Data last updated: 2025-12-04T17:10:08.437.
 
Logo
RE/MAX Legends
65 Boston Post Road
Waterford CT, 06385